Få succes med dine lavendler
Lavendler beroliger og skaber en stemning a la Sydfrankrig, som du nemt kan overføre til din egen have
Du får her landets eneste lavendelfarmers bedste tips til at dyrke de smukke, flerårige planter.
Drømmer du om et lilla lavendelflor i haven til næste år, er september det perfekte tidspunkt at gøre noget ved det. Det er nemlig nu, hvor lavendlerne er afblomstret, at du kan tage stiklinger og få dine lavendler til at formere sig, fortæller ejeren af Danmarks eneste lavendelfarm, LaVendelbo i Nordjylland.

Et kik op mod privatboligen på LaVendelbo
Ifølge Lene Lavendelbo Hansen – ja, det hedder hun! – vil mange gerne have lavendlerne til at dække jorden som et tæppe, hvilket kræver planlægning.
“Og det egner efteråret sig jo fortrinligt til”, siger hun og anbefaler, at du gør klar til dit lavendelbed, når kulden begynder at sætte ind, og ukrudtet ikke længere gror så godt.
Begynd med at opmåle, hvor stort dit bed skal være, og grav jorden fri for ukrudt. Hvis du vil sikre dig mod at skulle hakke mere, så dæk jorden med plantedug, så du holder ukrudtet væk vinteren over.
Læs også: Blomstrende sensommer hos Claus Dalby
Få succes med stiklinger
Har du allerede en eller flere lavendelplanter, som du gerne vil have til at formere sig, kan du tage stiklinger af dem. Lene Lavendebos opskrift på succes med stiklinger falder i tre lette trin henholdsvis her i efteråret og i det kommende forår.
Her til efteråret lyder trinnene:
- Tag fat i et sideskud og træk det af, så der kommer det, man kalder en “hæl” på det afrevne sideskud. Nip topskud af, så planten ikke bruger energi på at sætte skud, men på at sætte rødder. Gentag processen, til du har det antal stiklinger, du ønsker.
- Sæt stiklingerne tæt sammen i en potte med jord.
- Stil potten ude under en busk, hvor den både får lys og læ. Den skal ikke placeres i fuldt sollys!

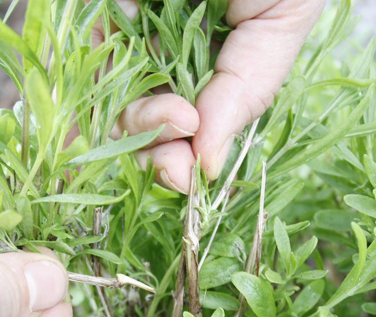
Når du vil lave stiklinger, skal du tage fat i et sideskud og træk det af, så der fremkommer en “hæl”.
Her lader du lavendelstiklingerne overvintre. Til foråret gør du følgende:
- Væk stiklingerne gradvist ved at give dem lidt vand. Stil dem gerne i et drivhus eller op ad en sydvendt husmur med læ.
- I april tager du forsigtigt stiklingerne, der nu har sat rødder, op af potten og planter dem ud enkeltvis i potter.
- Vent til juni med at sætte dem i jorden – og sørg for god plads imellem planterne.
De sorter af lavendel, der får store kroner, skal plantes med 50-70 centimeter mellem hver plante. De små sorter kan nøjes med 45 centimeters mellemrum.
Læs også: Hjemmedyrkede chili kan startes i vindueskarmen

Lene Lavendelbo Hansen – ja, det hedder hun!
Køb planter i god tid
Er du lavendelnovice, eller vil du bare hellere dyrke nogle andre lavendelplanter end dem, du allerede har, råder Lene Lavendelbo til, at du bestiller i god tid – gerne før jul.
“Pludselig kan der være udsolgt af netop den plante, som du har udset dig til dit bed. Et år var meget små lavendelplanter for eksempel populære, så de blev udsolgt henover vinteren,” siger den nordjyske lavendelfarmer, der selv sælger lavendelplanter via sin webshop.
Den erfarne lavendeldyrker forstår godt, at det kan være fristende at fremskynde planternes smukke blomstring, men hun fraråder at give lavendler kunstig varme. Så bliver de nemlig ikke hårdføre.
En anden tommelfingerregel er, at lavendler ikke egner sig til potter, hvor de har en tendens til at visne hen over tid, med mindre man skifter jorden ofte. En undtagelse er dog sommerfuglelavendlen, som godt kan overleve i potter og krukker.
Øvrige lavendelsorter skal ud i havens jord – tidligst i midten af maj og helst i slutningen af måneden, hvor jorden er lun som i de Middelhavslande, hvor planten stammer fra.
Apropos jord, så skal du overveje, om du skal kaste din kærlighed på andet end lavendler, hvis jorden i din have er meget leret. Lavendler har det nemlig rigtig skidt med leret jord.
Til gengæld elsker de jord, der er let, veldrænet og kalkholdig.
Læs også: Kyllingesalat & laksesalat

KEND DIN LAVENDEL
Lavandula-familien dækker over 39 arter, som vokser i både Middelhavsområdet, Østafrika, Mellemøsten, Europa og Indien. Bladene er grågrønne, og undersiden har et hvidt, filtet lag. Blomsterne har typisk blå til violette kronblade, men de findes også i forskellige rosa nuancer samt i hvid.
Mange lavendelsorter trives kun i varme lande eller i en krukke i et orangeri med god varme.
I Danmark har vi primært tre hårdføre arter med underhørende sorter:
Angustifolia, også kaldet Ægte Lavendel, er den mest hårdføre
X intermedia er den næstmest hårdføre, en hybrid
Stoechas, også kaldet sommerfuglelavendel, har den store fordel, at den blomstrer flere gange på en sæson, modsat de andre to, men til gengæld kan den ikke tåle temperaturer under minus fem grader. Derfor er netop den velegnet til at være i en potte i et orangeri eller måske et drivhus
Læs også: 5 tips til flot basilikum i vindueskarmen
SÅDAN BESKÆRER DU DINE LAVENDLER
De planter, som måske allerede pynter i haven, skal klippes ned i foråret.
Begynd ikke tidligere end 15. april, frosten skal være ovre. Hvis du klipper for tidligt, og planterne begynder at sætte nye, spæde skud, kan de blive “svitset”, hvis der kommer en ekstra omgang frost. Klip derfor hellere lidt for sent end for tidligt – planterne kan sagtens indhente det tabte og blomstre til sædvanlig tid i midten af juli.
5 gode grunde til at have lavendler
- De er ekstremt tørketålende og skal kun vandes i de tre uger, hvor de er nyplantede
- De blomster år efter år
- Råvildt spiser ikke lavendel
- Du kan tørre blomsterne og bruge dem til pynt, mad eller wellnessprodukter
- De siges at holde myg på afstand
Læs også: Når forsythiaen blomstrer er det tid til at beskære roser
LaVendelbo er:
Danmarks eneste lavendelfarm og indehaveren, Lenes, efternavn. På 11. år dyrker Lene LaVendelbo Hansen de velduftende, lilla blomster på markerne omkring sit hjem udenfor Hjallerup i Vendsyssel (naturligvis).
Når høsten er i hus, laver hun sæber, olier, shampoo og cremer med indhold af æterisk lavendelolie, som hun sælger i sin gårdbutik, hvor man også kan købe kaffe og lidt sødt:
“Jeg drømte om et sted, hvor alting handlede om én ting. Det fik jeg”, fortæller Lene.
Ud over 16.000 lavendelplanter er der også Bed & Breakfast på farmen LaVendelbo, og Lene selv går naturligvis altid klædt i lilla.
LaVendelbo kan besøges fra 1. juni til udgangen af september og efter aftale og har også en webshop på lavendelbo.dk
Læs også: Krydderolie og -eddike

Hvis du, som Lene, vil tørre lavendler, så klip bundter á max 70 stilke og saml dem med en elastik. Hæng dem op med bunden i vejret et tørt, luftigt og gerne mørkt sted. Hvis du vil gemme bundterne til senere, så pak dem i papkasser og stil dem et tørt og lunt sted. Så bevares farven bedst. Tørrede lavendler kan fx bruges i madlavningen, hvor man smuldrer en smule – kun en smule – af blomsterknopperne i salt eller sukker – eller til at blande i badesalt.
Tekst Anette Løkken Sørensen
Foto Anette Løkken Sørensen, Brian Lindemose Nymark

